in

L'ouragan Melissa se transforme en une tempête monstrueuse alors qu'il s'abat sur la Jamaïque

L'ouragan Melissa se transforme en une tempête monstrueuse alors qu'il s'abat sur la Jamaïque

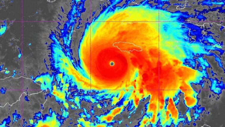
Avec des vents soufflant à environ 290 kilomètres par heure, l'ouragan Melissa est l'un des plus violents jamais enregistrés dans l'océan Atlantique et est sur le point de devenir la tempête la plus violente jamais touchée par la Jamaïque. C'est aussi une énorme tempête, avec des vents de force ouragan s'étendant sur plus de 70 kilomètres à partir de son noyau. Quelques heures avant l'arrivée officielle à terre, de fortes pluies et des vents violents avaient déjà commencé à frapper l'île.

Après que la tempête de catégorie 5 ait déferlé sur la Jamaïque le 28 octobre, elle se dirigera vers Cuba, Haïti et la République dominicaine. Ceux qui se trouvent sur son passage se préparent à des inondations soudaines et à des glissements de terrain catastrophiques, à des ondes et des vagues de tempête, ainsi qu'à des vents intenses suffisamment puissants pour détruire les maisons et les infrastructures.

L’histoire de ce dernier ouragan ne semble que trop familière : la tempête lente était initialement floue et désorganisée, mais deux jours passés au-dessus des eaux profondes et chaudes de l’océan lui ont donné suffisamment de carburant pour se transformer en une force catastrophique de la nature en rotation serrée, centrée autour d’un œil perçant.

Une intensification aussi rapide des tempêtes tropicales en ouragans majeurs est devenue la norme alors que la température des océans continue d’augmenter partout dans le monde. Les modèles de changement climatique prévoient que les ouragans se déplaceront également plus lentement à mesure que la planète se réchauffe, ce qui donnera non seulement aux tempêtes le temps de récupérer plus d'énergie de l'eau chaude, mais également de déverser de grandes quantités de pluie après avoir touché terre. Les prévisionnistes prévoient que Melissa retient tellement d'humidité qu'elle pourrait déverser jusqu'à un mètre de pluie sur la Jamaïque.

Les modèles de changement climatique ne sont pas concluants quant à savoir si le réchauffement climatique augmentera la fréquence des cyclones tropicaux, appelés ouragans dans l’Atlantique. Mais les simulations climatiques indiquent que le réchauffement climatique augmentera l’intensité moyenne des cyclones tropicaux, la vitesse maximale des vents des cyclones tropicaux et la proportion globale de cyclones qui seront très intenses.

La saison des ouragans de 2025 dans l’océan Atlantique illustre à certains égards cette nouvelle normalité. Jusqu'à présent, l'année n'a vu que cinq ouragans, mais trois d'entre eux, dont Melissa, sont des tempêtes de catégorie 5, ce qui signifie qu'un nombre étonnant de 60 % des tempêtes entrent dans cette catégorie la plus extrême. En comparaison, il y en a eu quatre en 2005, dont l'ouragan Katrina, soit un peu plus d'un quart des 15 ouragans de cette année-là.

L'approche innovante d'un géoscientifique vise à sauvegarder les canaux d'irrigation

L'approche innovante d'un géoscientifique vise à sauvegarder les canaux d'irrigation

Le fond cosmique des micro-ondes est un mur de lumière : voici comment nous pourrions voir au-delà

Le fond cosmique des micro-ondes est un mur de lumière : voici comment nous pourrions voir au-delà