Les prévisions météorologiques deviennent moins chères et plus précises. Un modèle d'IA nommé Aurora a utilisé l'apprentissage automatique pour surpasser les systèmes de prédiction météorologique actuels, les chercheurs rapportent le 21 mai Nature.
Aurora pourrait prédire avec précision les chemins de cyclone tropicaux, la pollution atmosphérique et les ondes océaniques, ainsi que la météo mondiale à l'échelle des villes ou des villes – offrant des prévisions en quelques secondes.
Le fait qu'Aurora puisse faire de telles prédictions à haute résolution en utilisant l'apprentissage automatique a impressionné Peter Dueben, qui dirige le groupe de modélisation du système terrestre au Centre européen pour les prévisions météorologiques moyennes à Bonn, en Allemagne. «Je pense qu'ils ont été les premiers à repousser cette limite», dit-il.
À mesure que le changement climatique s'aggrave, les conditions météorologiques extrêmes frappent plus souvent. «Dans un climat changeant, les enjeux de la prédiction précise des systèmes de terre ne pourraient pas être plus élevés», explique le co-auteur de l'étude Paris Perdikaris, ingénieur à l'Université de Pennsylvanie à Philadelphie.
Et ces derniers mois, le gouvernement américain a réduit le financement et licencié du personnel du National Weather Service, ce qui rend plus difficile pour cette agence d'obtenir des avertissements importants à temps.
Aurora est un dans une série de modèles d'apprentissage automatique qui améliorent régulièrement la prédiction météorologique depuis 2022, dit DueBen. Son groupe a utilisé des modèles d'apprentissage automatique similaires à Aurora pour fournir des prévisions pendant deux ans. «Nous les dirigeons tous les jours», dit-il. L'application météo MSN de Microsoft intègre déjà les données d'Aurora dans ses prévisions.
Les systèmes de prévision standard n'utilisent pas d'apprentissage automatique. Ils modélisent la météo de la Terre en résolvant des équations complexes en mathématiques et en physique pour simuler comment les conditions changeront probablement avec le temps.
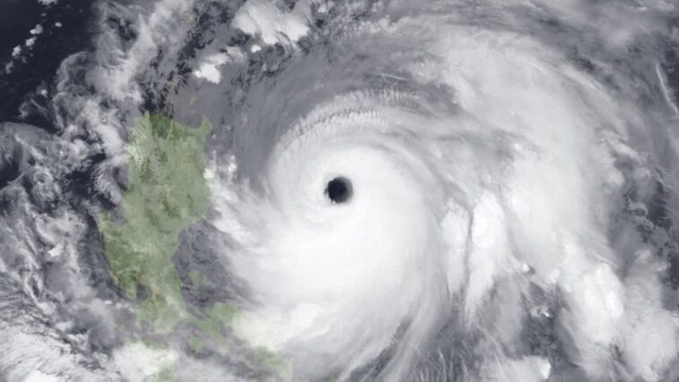
Mais simulant un système aussi chaotique que le temps est un défi extrêmement difficile. En juillet 2023, par exemple, les prévisions officielles quelques jours à l'avance de Typhoon Dokuri se trompent. Lorsque la tempête a frappé les Philippines, il y a eu peu d'avertissement. Des dizaines de personnes sont mortes dans des inondations, des glissements de terrain et des accidents.
Dans un scénario de test, Aurora a correctement prédit la piste de Typhoon Doksuri à partir des données collectées quatre jours à l'avance. L'équipe a examiné les pistes que sept principaux centres de prévision avaient prévu des cyclones qui ont eu lieu en 2022 et 2023. Pour chaque tempête, les prédictions du modèle d'IA étaient de 20 à 25% plus précises.
La surclassement des prévisions officielles des cyclones jusqu'à cinq jours à l'avance «n'a jamais été fait auparavant», a déclaré le co-auteur de l'étude Megan Stanley, chercheur de Machine Intelligence basé chez Microsoft Research à Cambridge, en Angleterre. «Comme nous le savons tous dans de nombreux cas de typhons et d'ouragans, avoir même un préavis de jour est suffisant pour sauver beaucoup de vies», dit-elle.
Contrairement aux prévisions standard, les modèles d'apprentissage automatique ne simulent pas la physique et ne résolvent pas les formules mathématiques complexes pour faire des prédictions. Au lieu de cela, ils analysent les grands ensembles de données sur la façon dont le temps a changé au fil du temps. Aurora a accueilli plus d'un million d'heures d'informations sur l'atmosphère de la Terre. Il a appris comment les conditions météorologiques ont tendance à évoluer. Mais ce n'était que le début.
Aurora est un modèle de fondation. Dans l'IA, un modèle de fondation est un peu comme un diplômé du secondaire. Un nouveau diplômé connaît déjà beaucoup de choses utiles, mais avec une formation supplémentaire, ils pourraient effectuer toutes sortes d'emplois différents. De même, un modèle de fondation peut passer par un processus appelé ajustement fin pour apprendre à effectuer différents types de tâches spécialisées. Pendant le réglage fin d'Aurora, l'équipe a nourri les nouveaux types de données sur différents systèmes de terre, y compris les pistes cyclones, la pollution de l'air et les vagues de l'océan.
Le croquetage numéro un modèle de prévision météorologique basé sur la physique peut prendre plusieurs heures sur un supercalculateur. Et le développement d'un nouveau modèle basé sur la physique prend des «décennies», dit DueBen. Le développement d'Aurora a pris huit semaines.
Parce que des modèles comme Aurora peuvent souvent être exécutés sur un bureau typique et ne nécessitent pas un supercalculateur, ils pourraient rendre les prévisions météorologiques puissantes plus accessibles aux personnes et aux endroits qui ne peuvent pas se permettre de gérer leurs propres simulations basées sur la physique.
Et parce qu'Aurora est un modèle de fondation qui peut être affiné, il pourrait potentiellement aider à tout type de prévision de la Terre. Stanley et ses collègues imaginent affiner le système pour prédire les changements dans la glace de mer, les inondations, les incendies de forêt et plus encore.


